首页>要闻 要闻
超强台风“玛莉亚”11日将登陆浙闽沿海 多地有大暴雨
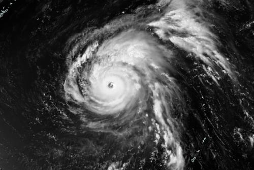
中新网7月8日电 据中央气象台网站消息,中央气象台最新预报,今年第8号台风“玛莉亚”加速奔袭,将于7月11日(下周三)前后登陆我国浙闽沿海,预计登陆时强度将为强台风或台风级别(12~14级)。气象专家提醒,台湾、福建、浙江、江西等地要提早做好防台准备,这也将是今年继第4号台风“艾云尼”之后第二个登陆我国的台风。

台风“玛莉亚”7月4日20时在美国关岛附近的洋面上生成,在不到两天的时间内迅速加强为超强台风级,鼎峰时中心附近最大风力达到58米/秒,目前最大风力16级(52米/秒)。由于影响台风路径的副热带高压十分强盛,因此“玛莉亚”登陆我国已成定局,不过对于具体登陆地点还存在一定的不确定性。
预计,“玛莉亚”将以20~25公里的速度向西偏北方向移动,于11日早晨前后登陆或擦过台湾岛东北部,并于11日白天在福建中部到浙江南部一带沿海再次登陆(台风级或强台风级,12~14级,33~42米/秒),登陆后继续向西北方向移动,强度快速减弱。
需要注意的是,超强台风“玛莉亚”目前七级风圈半径280~450公里,十级风圈半径100~120公里,在台风家族中属于体格较大的台风,其对我国海域的影响将从9日夜间开始。

预计9日至11日,台湾以东洋面、东海中南部海面、台湾海峡以及台湾岛、福建和浙江等地沿海地区自东向西风力逐渐加大到8~11级,“玛莉亚”中心经过的附近海面和地区的风力有12~15级,阵风达16~17级。
10日夜间至12日,台湾岛、福建、浙江南部和沿海、江西中南部等地将先后有大到暴雨,台湾岛中北部、福建中部和沿海、浙江沿海有大暴雨、局地特大暴雨,部分地区累计降水量有100~200毫米,局地可达250~350毫米。

气象专家提醒,目前正值暑假,也是旅游外出的旺季,提醒需要前往台湾、福建、浙江、江西等地的公众要注意安全,合理调整行程,避免前往上述地区的山区、岛屿或沿海景区,相关部门人员也需做好安全管理和避险转移等工作。
据气象专家介绍,根据历年的台风统计,7月影响我国的台风中,与“玛莉亚”比较相似的台风多数都有二次登陆的经历。其中2013年的7号台风“苏力”先后登陆台湾岛和福建,登陆福建连江时强度为台风级(12级)。受其影响,台湾、福建、浙江、江西等地出现强风雨天气,部分地区降水量达100~300毫米,台湾岛累计降雨量超900毫米?!八樟Α痹斐缮鲜鍪》?00多万人受灾,直接经济损失超30亿元。
编辑:秦云
关键词:超强台风 玛莉亚 浙闽沿海
 
       
 

 球迷风暴
球迷风暴 毕业啦
毕业啦 斯里兰卡“螃蟹部长”的美食故事
斯里兰卡“螃蟹部长”的美食故事 格鲁吉亚新总理和内阁赢得议会信任投票
格鲁吉亚新总理和内阁赢得议会信任投票 美商务部批准首批钢铁产品“232”关税豁免申请
美商务部批准首批钢铁产品“232”关税豁免申请 联合国总部举行“国际瑜伽日”活动
联合国总部举行“国际瑜伽日”活动 中国美食节在特拉维夫举行
中国美食节在特拉维夫举行 匈牙利国会通过“阻止索罗斯”法案
匈牙利国会通过“阻止索罗斯”法案
 法蒂玛·马合木提
法蒂玛·马合木提 王召明
王召明 王霞
王霞 辜胜阻
辜胜阻 聂震宁
聂震宁 钱学明
钱学明 孟青录
孟青录 郭晋云
郭晋云 许进
许进 李健
李健 覺醒法師
覺醒法師 吕凤鼎
吕凤鼎 贺铿
贺铿 金曼
金曼 黄维义
黄维义 关牧村
关牧村 陈华
陈华 陈景秋
陈景秋 秦百兰
秦百兰 张自立
张自立 郭松海
郭松海 李兰
李兰 房兴耀
房兴耀 池慧
池慧 柳斌杰
柳斌杰 曹义孙
曹义孙 毛新宇
毛新宇 詹国枢
詹国枢 朱永新
朱永新 张晓梅
张晓梅 焦加良
焦加良 张连起
张连起 龙墨
龙墨 王名
王名 何水法
何水法 李延生
李延生 巩汉林
巩汉林 李胜素
李胜素 施杰
施杰 王亚非
王亚非 艾克拜尔·米吉提
艾克拜尔·米吉提 姚爱兴
姚爱兴 贾宝兰
贾宝兰 谢卫
谢卫 汤素兰
汤素兰 黄信阳
黄信阳 张其成
张其成 潘鲁生
潘鲁生 冯丹藜
冯丹藜 艾克拜尔·米吉提
艾克拜尔·米吉提 袁熙坤
袁熙坤 毛新宇
毛新宇 学诚法师
学诚法师 宗立成
宗立成 梁凤仪
梁凤仪 施 杰
施 杰 张晓梅
张晓梅


